- Kauf
- Grundstücke
Objekttyp
GrundstückeEckdaten
- Immobilien-ID:1124
Beschreibung
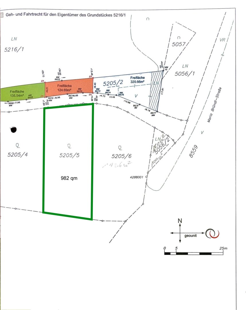
Sie suchen nach einem Ort, an dem Sie Ihren Traum vom Eigenheim verwirklichen können? Dann haben wir genau das richtige Angebot für Sie! Das Grundstück, das wir Ihnen hier präsentieren, befindet sich in der idyllischen Gemeinde Gutau in Oberösterreich und bietet Ihnen die perfekte Möglichkeit, Ihr eigenes Haus zu bauen. Mit einer Fläche von 982m² und einem Kaufpreis von 99.000,00 € ist dieses Baugrundstück ein wahres Schnäppchen.
Das Grundstück besticht nicht nur durch seine Größe, sondern auch durch seine traumhafte Lage. Der Ausblick reicht weit über die grünen Hügel der Umgebung und bietet Ihnen ein Gefühl von Freiheit und Ruhe. Genießen Sie jeden Tag den Anblick der malerischen Landschaft und lassen Sie den Stress des Alltags hinter sich. Hier können Sie Ihre Seele baumeln lassen und den Alltag vergessen.
Doch nicht nur der Fernblick ist beeindruckend, auch der Grünblick ist ein Highlight dieser Immobilie. Umgeben von saftigen Wiesen und Wäldern, werden Sie hier ein Stück Natur pur erleben. Die frische Luft und die unberührte Natur bieten Ihnen die perfekte Umgebung, um sich zu erholen und neue Kraft zu tanken. Hier können Sie Ihren Kindern einen Ort bieten, an dem sie sicher und frei in der Natur aufwachsen können.
Das Grundstück ist ideal für den Bau eines Eigenheims oder einer Gewerbeimmobilie oder einer Kombination aus beiden geeignet. Die großzügige Fläche bietet genügend Platz für Ihr Traumhaus und Ihren persönlichen Garten. Gestalten Sie Ihr Zuhause ganz nach Ihren Wünschen und Vorstellungen. Die Gemeinde Gutau bietet eine gute Infrastruktur und alle wichtigen Einrichtungen. wie Einkaufsmöglichkeiten, Schulen und Ärzte. Auch die Anbindung an öffentliche Verkehrsmittel ist sehr gut, sodass Sie schnell und bequem in die umliegenden Städte gelangen.
Die Region Oberösterreich ist bekannt für ihre atemberaubende Landschaft und die vielen Freizeitmöglichkeiten, die sie bietet. Wandern, Radfahren, Skifahren oder einfach nur die Natur erkunden - hier ist für jeden etwas dabei.
Zögern Sie nicht länger und sichern Sie sich jetzt Ihr eigenes Stück vom Paradies in Gutau. Diese Immobilie bietet Ihnen die einmalige Chance, Ihren Traum vom Eigenheim wahr werden zu lassen. Nutzen Sie die Gelegenheit und vereinbaren Sie noch heute einen Besichtigungstermin. Wir freuen uns darauf, Ihnen dieses wunderschöne Grundstück persönlich zu zeigen und Ihnen bei der Verwirklichung Ihres Traums zu helfen.
Bitte beachten Sie, dass wir aufgrund der Nachweispflicht gegenüber dem Eigentümer nur Anfragen mit vollständiger Angabe der Anschrift und Telefonnummer bearbeiten können. Explizit weisen wir darauf hin, dass alle Angaben nach bestem Wissen erstellt wurden. Irrtümer, Druckfehler und Änderungen vorbehalten. Für Auskünfte und Angaben, die uns von Seiten der Eigentümer und Dritten zur Verfügung gestellt wurden, können wir keine Haftung übernehmen. Besichtigungen und Beratungen erfolgen kostenlos, lediglich im Falle einer erfolgreichen Vermittlung ist eine gesetzliche Provision zur Zahlung fällig.
Der Vermittler ist als Doppelmakler tätig.
Infrastruktur / Entfernungen
Gesundheit
Arzt
Grundriss








































































































































































































































































































































































































































































































































